
.jpg)
| 物件名 | 【売土地】福山市神村町№5 | 種別 | 売地 |
|---|---|---|---|
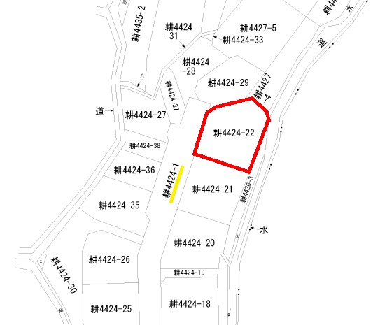
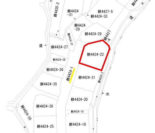
| 住所 | 福山市神村町4424番22(地番) マップはこちら |
||
| 交通 | トモテツバス「神村町三区」停まで徒歩12分 | ||
| 価格 | 490万円 | 間取り | |
|---|---|---|---|
| 建ぺい率/容積率 | 60%/200% | 完成(築年月) | |
| 建物面積 | 敷地面積 | 187.37㎡(56.67坪) | |
| 用途地域 | 第一種住居地域 | 土地権利 | 所有権 |
| 私道負担/道路 | 有り(588.28㎡のうち持分9/112) | 現況/引渡 | 更地/即 |
| 取引態様 |
| 価格 | 490万円 |
|---|---|
| 間取り | |
| 建ぺい率/容積率 | 60%/200% |
| 完成(築年月) | |
| 建物面積 | |
| 敷地面積 | 187.37㎡(56.67坪) |
| 用途地域 | 第一種住居地域 |
| 土地権利 | 所有権 |
| 私道負担/道路 | 有り(588.28㎡のうち持分9/112) |
| 現況/引渡 | 更地/即 |
| 取引態様 |